今年第4號颱風「辛樂克」已於昨(12日)下午2時升級為強烈颱風,近中心最大風速達每秒60公尺,結構完整,目前朝西北西方向,關島一帶移動,對台灣與日本暫無直接影響。氣象專家吳聖宇分析,辛樂克是35年來最強的4月颱,也是今年的「風王候選」。

今年第4號颱風「辛樂克」已於昨(12日)下午2時升級為強烈颱風,近中心最大風速達每秒60公尺,結構完整,目前朝西北西方向,關島一帶移動,對台灣與日本暫無直接影響。氣象專家吳聖宇分析,辛樂克是35年來最強的4月颱,也是今年的「風王候選」。
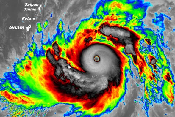
根據中央氣象署觀測,今(13日)凌晨2時,辛樂克中心位於北緯11.6度、東經149.5度,以每小時17公里向西北西移動,中心氣壓為895百帕,近中心最大風速每秒60公尺,瞬間最大陣風每秒75公尺,七級風暴風半徑達350公里,十級風暴風半徑約180公里,整體規模相當龐大。天氣風險公司資深顧問吳聖宇指出,該颱風結構型態完美,衛星掃瞄可分析出清楚的眼牆、主次雨帶等特徵,看起來即將進入眼牆置換的階段。
吳聖宇在臉書粉絲專頁分析,辛樂克不僅是自1991年採用新制評定以來最強的4月颱風,也是自1958年以來半徑最大的4月颱,有機會成為今年風王。未來36至48小時內環境條件都還很好,可以持續觀察它的變化。不過根據路徑預計顯示,辛樂克不會對台灣造成影響,民眾無須過度擔心。
相關文章
大裁員還砍老臣內幕瘋傳!TVBS發重磅聲明 方念華被點名17字發聲了